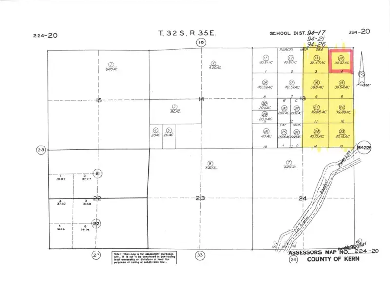
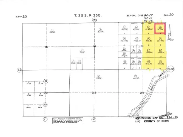
GREAT STRETCH OF LAND 8 TOTAL LOTS EACH ABOUT 40 ACRES FOR A TOTAL OF 320 ACRES NEXT TO EACH OTHER. THIS ONE IS 39.31 ACRES OF GREAT POSIBLITIES HERE. BUILD A RANCH OR JUST SIT UNDER THE SATRS LATITUDE 35.15108 LONGITUDE -118168705
Property Details
Price:
$98,275
MLS #:
HD25229696
Status:
Active
Beds:
0
Baths:
0
Type:
Land
Neighborhood:
thptehachapi
Listed Date:
Oct 1, 2025
Lot Size:
1,712,344 sqft / 39.31 acres (approx)
Schools
Interior
Exterior
Community Features
HIKI, BIKI
Financial
Map
Contact Us
Mortgage Calculator
Community
- Address14 Cache Creek Tehachapi CA
- CityTehachapi
- CountyKern
- Zip Code93561
Property Summary
- 14 Cache Creek Tehachapi CA is a Land for sale in Tehachapi, CA, 93561. It is listed for $98,275 and features 39 acres. To schedule a showing of MLS#hd25229696 at 14 Cache Creek in Tehachapi, CA, contact your Outland and Associates / JoAnn Outland agent at 8054417754.
Similar Listings Nearby
Get Out There, A Simply Outgoing Approach to Life. James Outland Jr. is one of those rare people who simply has an outgoing approach to life. No matter the activity… from dune buggy riding to skydiving to motorcycling to riding the local Pismo Beach waves… James Outland Jr. approaches life with a “just get out there and do it” kind of attitude. A zest for Life. James’ zest for life is obviously apparent in his many exciting hobbies. In his spare time, he loves riding dune buggies or hi…
More About James
Courtesy of Genesis 1 Realty. Disclaimer: All data relating to real estate for sale on this page comes from the Broker Reciprocity (BR) of the California Regional Multiple Listing Service. Detailed information about real estate listings held by brokerage firms other than Outland and Associates / JoAnn Outland include the name of the listing broker. Neither the listing company nor Outland and Associates / JoAnn Outland shall be responsible for any typographical errors, misinformation, misprints and shall be held totally harmless. The Broker providing this data believes it to be correct, but advises interested parties to confirm any item before relying on it in a purchase decision. Copyright 2026. California Regional Multiple Listing Service. All rights reserved. 14 Cache Creek
Tehachapi, CA



