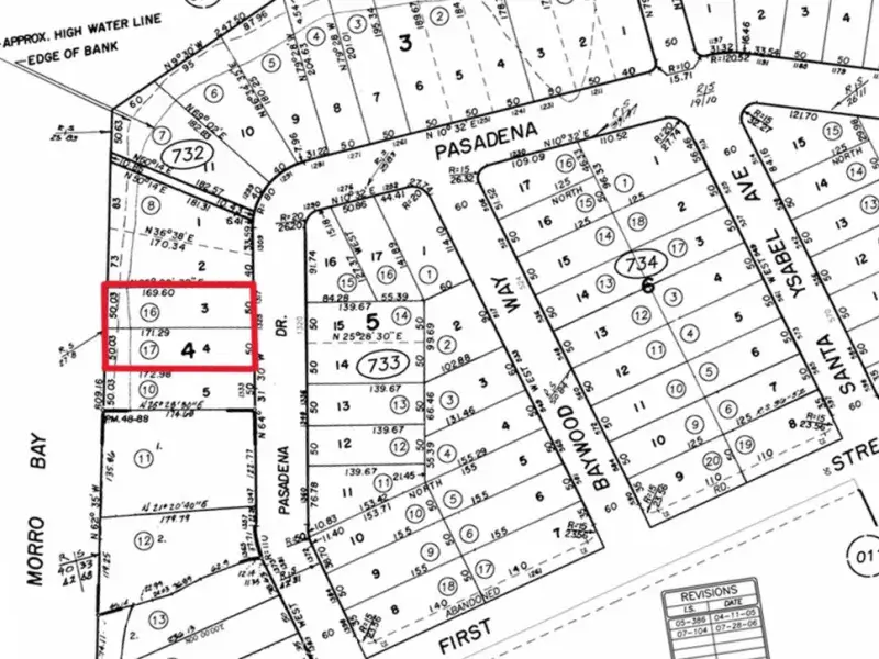
Prime bay side land in beautiful Baywood Park. Unobstructed views of the back bay. Two adjacent lots totaling over 17,000 square feet combined. Listing price includes both lots. Build your dream home! Plans for a 3000 sq. foot home are available. Just steps from the Baywood Park Farmers Market, High Street Deli, Baywood Market, restaurants, and shops. #18 on the Los Osos Waitlist for Building Permits *Buyer to verify any restrictions on building with SLO Planning Dept.
Property Details
Price:
$999,500
MLS #:
SC26007383
Status:
Active
Beds:
0
Baths:
0
Type:
Land
Subdivision:
Town of El Moro680
Neighborhood:
ososlososos
Listed Date:
Jan 12, 2026
Lot Size:
17,130 sqft / 0.39 acres (approx)
Schools
Interior
Exterior
Community Features
SUB, FISH, HIKI
Financial
Map
Contact Us
Mortgage Calculator
Community
- AddressPasadena Lot 3 Los Osos CA
- SubdivisionTown of El Moro(680)
- CityLos Osos
- CountySan Luis Obispo
- Zip Code93402
Subdivisions in Los Osos
Property Summary
- Located in the Town of El Moro(680) subdivision, Pasadena Lot 3 Los Osos CA is a Land for sale in Los Osos, CA, 93402. It is listed for $999,500 and features 0 acres. To schedule a showing of MLS#sc26007383 at Pasadena Lot 3 in Los Osos, CA, contact your Outland and Associates / JoAnn Outland agent at 8054417754.
Similar Listings Nearby
Full-time Real Estate Broker, sold 1400+ Properties in SLO and SBC County. 40+ years of local real estate knowledge and experience. I understand each sale is about you and your goals. I know as we get older, we don’t have time to make up for any mistakes especially when it comes to one the most significant investments. I care about my clients and work very hard to share my knowledge and protect you along the way. I place the appropriate verbiage in the listing and listing agreement depending…
More About JoAnn
Courtesy of Dianne Blanchard, Broker. Disclaimer: All data relating to real estate for sale on this page comes from the Broker Reciprocity (BR) of the California Regional Multiple Listing Service. Detailed information about real estate listings held by brokerage firms other than Outland and Associates / JoAnn Outland include the name of the listing broker. Neither the listing company nor Outland and Associates / JoAnn Outland shall be responsible for any typographical errors, misinformation, misprints and shall be held totally harmless. The Broker providing this data believes it to be correct, but advises interested parties to confirm any item before relying on it in a purchase decision. Copyright 2026. California Regional Multiple Listing Service. All rights reserved. Pasadena Lot 3
Los Osos, CA









