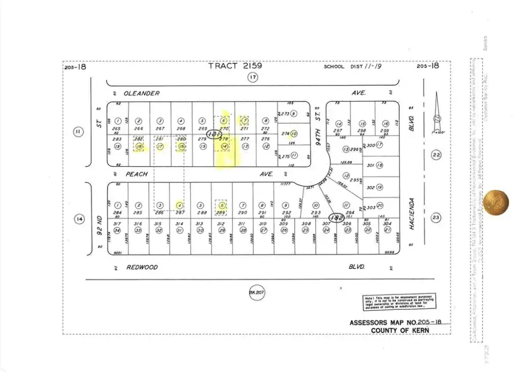
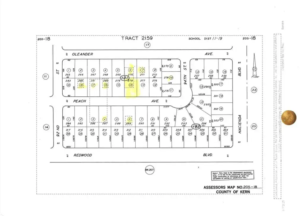
Great California City parcel, ready for your new home plans. Slightly more than 10,000 square feet in the lot which is zoned R1. Notice that homes are present on this paved street. The city indicates utilities are available in or at the street. Buyer to satisfy themselves with such information available from City Building & Planning Departments. There are several completed constructions on Peach Ave. which include two lots over, the house behind the subject but on Oleander, and the house across the street on Peach. Planning indicates no sewer in the street. Plan on septic. City water available. Police & fire are available at this address. Waste Management is a local third party that handles trash needs for the area. The Unified School District Offices are on Redwood a couple of blocks away.
Location of this lot is across the street from the home at 9300 Peach Ave. The property at 9300 Oleander Ave. backs to this lot.
Location of this lot is across the street from the home at 9300 Peach Ave. The property at 9300 Oleander Ave. backs to this lot.
Current real estate data for Land in California City as of Nov 28, 2025
237
Land Listed
333
Avg DOM
$14,625
Avg List Price
Property Details
Price:
$18,500
MLS #:
PW25188391
Status:
Active
Beds:
0
Baths:
0
Type:
Land
Neighborhood:
cac
Listed Date:
Sep 29, 2025
Lot Size:
10,454 sqft / 0.24 acres (approx)
Schools
Interior
Exterior
Community Features
SUB
Financial
Tax Year
2425
Map
Contact Us
Mortgage Calculator
Community
- AddressPeach AV Lot 278 California City CA
- CityCalifornia City
- CountyKern
- Zip Code93505
Subdivisions in California City
Property Summary
- Peach AV Lot 278 California City CA is a Land for sale in California City, CA, 93505. It is listed for $18,500 and features 0 acres. To schedule a showing of MLS#pw25188391 at Peach AV Lot 278 in California City, CA, contact your Outland and Associates / JoAnn Outland agent at 8054417754.
Similar Listings Nearby
Full-time Real Estate Broker, sold 1400+ Properties in SLO and SBC County. 40+ years of local real estate knowledge and experience. I understand each sale is about you and your goals. I know as we get older, we don’t have time to make up for any mistakes especially when it comes to one the most significant investments. I care about my clients and work very hard to share my knowledge and protect you along the way. I place the appropriate verbiage in the listing and listing agreement depending…
More About JoAnn
Courtesy of Berkshire Hathaway HomeServices California Properties. Disclaimer: All data relating to real estate for sale on this page comes from the Broker Reciprocity (BR) of the California Regional Multiple Listing Service. Detailed information about real estate listings held by brokerage firms other than Outland and Associates / JoAnn Outland include the name of the listing broker. Neither the listing company nor Outland and Associates / JoAnn Outland shall be responsible for any typographical errors, misinformation, misprints and shall be held totally harmless. The Broker providing this data believes it to be correct, but advises interested parties to confirm any item before relying on it in a purchase decision. Copyright 2025. California Regional Multiple Listing Service. All rights reserved. Peach AV Lot 278
California City, CA


