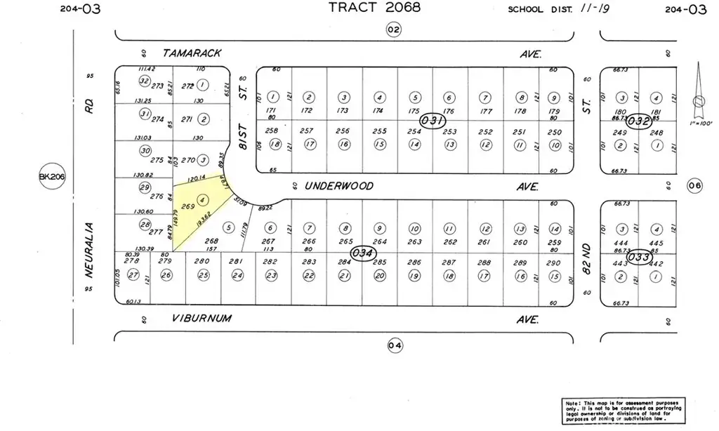
R1 Zoned .30 acres of Vacant land in a developed part of California City. The adjoining parcel (.25 acres APN- 204-034-03-00-2) is also available for sale and separately listed bringing the total of both lots if purchased to .55 Acres. This could be a nice opportunity to build a larger home for the right buyer. Land is flat and useable just off the city street. Houses exist behind this lot, and to the right of it, which could be a strong indicator that utilities may possibly be available. Buyers verify availability of water, power, and sewer.
Current real estate data for Land in California City as of Jan 14, 2026
164
Land Listed
282
Avg DOM
$22,626
Avg List Price
Property Details
Price:
$19,000
MLS #:
SR25252825
Status:
Active
Beds:
0
Baths:
0
Type:
Land
Neighborhood:
caccaliforniacity
Listed Date:
Nov 3, 2025
Lot Size:
13,012 sqft / 0.30 acres (approx)
Schools
Interior
Exterior
Community Features
SDW, SUB
Financial
Map
Contact Us
Mortgage Calculator
Community
- AddressLot 269 California City CA
- CityCalifornia City
- CountyKern
- Zip Code93505
Subdivisions in California City
Property Summary
- Lot 269 California City CA is a Land for sale in California City, CA, 93505. It is listed for $19,000 and features 0 acres. To schedule a showing of MLS#sr25252825 at Lot 269 in California City, CA, contact your Outland and Associates / JoAnn Outland agent at 8054417754.
Similar Listings Nearby
Full-time Real Estate Broker, sold 1400+ Properties in SLO and SBC County. 40+ years of local real estate knowledge and experience. I understand each sale is about you and your goals. I know as we get older, we don’t have time to make up for any mistakes especially when it comes to one the most significant investments. I care about my clients and work very hard to share my knowledge and protect you along the way. I place the appropriate verbiage in the listing and listing agreement depending…
More About JoAnn
Courtesy of RE/MAX of Santa Clarita. Disclaimer: All data relating to real estate for sale on this page comes from the Broker Reciprocity (BR) of the California Regional Multiple Listing Service. Detailed information about real estate listings held by brokerage firms other than Outland and Associates / JoAnn Outland include the name of the listing broker. Neither the listing company nor Outland and Associates / JoAnn Outland shall be responsible for any typographical errors, misinformation, misprints and shall be held totally harmless. The Broker providing this data believes it to be correct, but advises interested parties to confirm any item before relying on it in a purchase decision. Copyright 2026. California Regional Multiple Listing Service. All rights reserved. Lot 269
California City, CA






