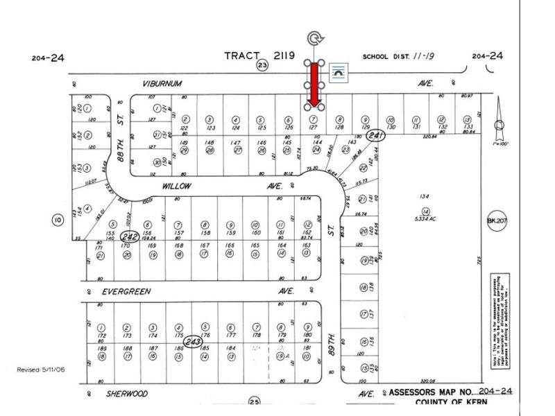
Discover an excellent opportunity to own vacant land in Kern County. This parcel (APN: 262-072-09-00-2) Zoning R4. Use Code: Multi -Family- Vacant Land offers a wide, open landscape with great potential for future development or long-term investment. Located near existing residential neighborhoods and local amenities, the property provides easy access while still offering privacy and space. Perfect for builders, investors, or anyone looking to secure land in a growing area of Kern County. Buyer to verify utilities, and all development possibilities with the county.
Current real estate data for Land in California City as of Jan 14, 2026
164
Land Listed
282
Avg DOM
$22,626
Avg List Price
Property Details
Price:
$9,500
MLS #:
PW25266443
Status:
Active
Beds:
0
Baths:
0
Type:
Land
Neighborhood:
699notdefined
Listed Date:
Nov 25, 2025
Lot Size:
117,612 sqft / 2.70 acres (approx)
Schools
Interior
Exterior
Community Features
SUB
Financial
Map
Contact Us
Mortgage Calculator
Community
- AddressLot 22 California City CA
- CityCalifornia City
- CountyKern
- Zip Code00000
Subdivisions in California City
Property Summary
- Lot 22 California City CA is a Land for sale in California City, CA, 00000. It is listed for $9,500 and features 3 acres. To schedule a showing of MLS#pw25266443 at Lot 22 in California City, CA, contact your Outland and Associates / JoAnn Outland agent at 8054417754.
Similar Listings Nearby
Full-time Real Estate Broker, sold 1400+ Properties in SLO and SBC County. 40+ years of local real estate knowledge and experience. I understand each sale is about you and your goals. I know as we get older, we don’t have time to make up for any mistakes especially when it comes to one the most significant investments. I care about my clients and work very hard to share my knowledge and protect you along the way. I place the appropriate verbiage in the listing and listing agreement depending…
More About JoAnn
Courtesy of Professional R.E. Center, Inc.. Disclaimer: All data relating to real estate for sale on this page comes from the Broker Reciprocity (BR) of the California Regional Multiple Listing Service. Detailed information about real estate listings held by brokerage firms other than Outland and Associates / JoAnn Outland include the name of the listing broker. Neither the listing company nor Outland and Associates / JoAnn Outland shall be responsible for any typographical errors, misinformation, misprints and shall be held totally harmless. The Broker providing this data believes it to be correct, but advises interested parties to confirm any item before relying on it in a purchase decision. Copyright 2026. California Regional Multiple Listing Service. All rights reserved. Lot 22
California City, CA


