For sale are 4 residential zoned lots by the CalCity MX Park. These total almost 1 acre. Below are the specifics:
Lot 1: APN: 272-271-08 on Granite Ave zoned as R1 and 7416 sq ft
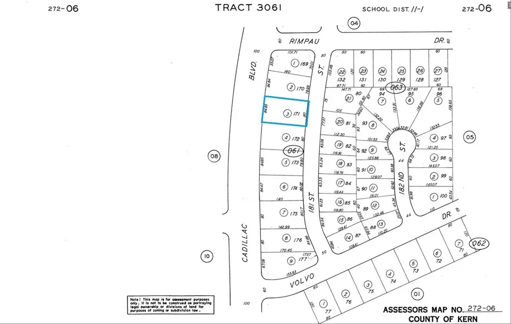
Lot 2: APN: 272-061-03 on 181st St zoned as R1 and 12110 sq ft
Lot 3: APN: 272-361-06 on Dunsmuir Dr zoned as R1 and 8303 sq ft
Lot 4: APN 272-411-10 on Esperanza Dr zoned as R1 and 7240 sq ft
The price listed is for all 4 lots.
Lot 1: APN: 272-271-08 on Granite Ave zoned as R1 and 7416 sq ft
Lot 2: APN: 272-061-03 on 181st St zoned as R1 and 12110 sq ft
Lot 3: APN: 272-361-06 on Dunsmuir Dr zoned as R1 and 8303 sq ft
Lot 4: APN 272-411-10 on Esperanza Dr zoned as R1 and 7240 sq ft
The price listed is for all 4 lots.
Current real estate data for Land in California City as of Jan 14, 2026
164
Land Listed
282
Avg DOM
$22,626
Avg List Price
Property Details
Price:
$12,000
MLS #:
HD25274336
Status:
Active
Beds:
0
Baths:
0
Type:
Land
Neighborhood:
caccaliforniacity
Listed Date:
Dec 11, 2025
Lot Size:
36,069 sqft / 0.83 acres (approx)
Schools
Interior
Exterior
Community Features
GOLF, BIKI
Financial
Map
Contact Us
Mortgage Calculator
Community
- AddressGranite Ave Lot 867 California City CA
- CityCalifornia City
- CountyKern
- Zip Code93505
Subdivisions in California City
Property Summary
- Granite Ave Lot 867 California City CA is a Land for sale in California City, CA, 93505. It is listed for $12,000 and features 1 acres. To schedule a showing of MLS#hd25274336 at Granite Ave Lot 867 in California City, CA, contact your Outland and Associates / JoAnn Outland agent at 8054417754.
Similar Listings Nearby
Full-time Real Estate Broker, sold 1400+ Properties in SLO and SBC County. 40+ years of local real estate knowledge and experience. I understand each sale is about you and your goals. I know as we get older, we don’t have time to make up for any mistakes especially when it comes to one the most significant investments. I care about my clients and work very hard to share my knowledge and protect you along the way. I place the appropriate verbiage in the listing and listing agreement depending…
More About JoAnn
Courtesy of Bancorp One, Inc.. Disclaimer: All data relating to real estate for sale on this page comes from the Broker Reciprocity (BR) of the California Regional Multiple Listing Service. Detailed information about real estate listings held by brokerage firms other than Outland and Associates / JoAnn Outland include the name of the listing broker. Neither the listing company nor Outland and Associates / JoAnn Outland shall be responsible for any typographical errors, misinformation, misprints and shall be held totally harmless. The Broker providing this data believes it to be correct, but advises interested parties to confirm any item before relying on it in a purchase decision. Copyright 2026. California Regional Multiple Listing Service. All rights reserved. Granite Ave Lot 867
California City, CA









